Inicio País ‘Iota’ ya es huracán categoría 5

‘Iota’ ya es huracán categoría 5

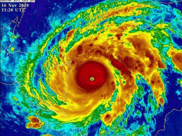
Estados Unidos.- El huracán Iota se convirtió en un potente ciclón de categoría cinco, la máxima, al acercarse este lunes al Caribe de Nicaragua, donde pobladores fueron evacuados y albergados ante esta nueva amenaza para Centroamérica, dos semanas después del devastador paso de Eta.

Afectará la misma región que dos semanas atrás sufrió el violento embate del huracán Eta, que dejó más de 200 muertos y 2.5 millones de afectados en el istmo.

El Centro Nacional de Huracanes de Estados Unidos (NHC) reveló que Iota alcanzó vientos máximos de 260 km/h horas antes de que arremeta contra el Caribe centroamericano, entre Nicaragua y Honduras.

“Se espera que Iota se mantenga como un catastrófico huracán categoría 5 al acercarse esta noche (del lunes) a la costa noreste de Nicaragua”, indicó el NHC en un reporte.

Advirtió que se esperan “fuertes lluvias, inundaciones repentinas y crecidas de ríos que amenazan la vida” a lo largo de partes de Centroamérica.

El impacto sería mayor en el noreste de Nicaragua y el este de Honduras, zonas aún devastadas por Eta.

La evacuación masiva de las comunidades nicaragüenses de Karatá, Wonta, Wawabar, golpeadas por Eta, saturó los refugios, que el domingo recibieron aún más personas ante la amenaza de Iota, dijo Eufemia Hernández, coordinadora de uno de los albergues en la universidad Uraccan.